Jeden z czytelników zadał mi nie lada zagadkę. Wzdłuż Wierszowskiej Drogi (którą biegnie żółty szlak), nieco na południe od Wierszy, znajduje się zagadkowy rów. Na początku sprawa nie wydała mi się szczególnie ciekawa, ale zmieniłem zdanie, gdy spojrzałem, jak wygląda ten obiekt na danych z lotniczego skanowania laserowego.
![]() |
| Wizualizacja rowu na danych z lotniczego skaningu laserowego (źródło: Kampinoskie Bagna) |
Uwagę zwraca prosty przebieg tego rowu przecinający na wskroś jedną z wydm. Przeglądałem inne rejony Puszczy Kampinoskiej w poszukiwaniu analogicznego obiektu, ale bezskutecznie. Bez wątpienia warto się więc bliżej tej sprawie przyjrzeć.
W pierwszej kolejności przeszukałem internet, ale nikt nic o tym rowie nie napisał. Jedyne, co udało mi się ustalić, to fakt, że rów ten najprawdopodobniej powstał za czasów PRL-u. Nie ma go bowiem na mapach z okresu międzywojennego, a pojawia się na tych z lat 70.
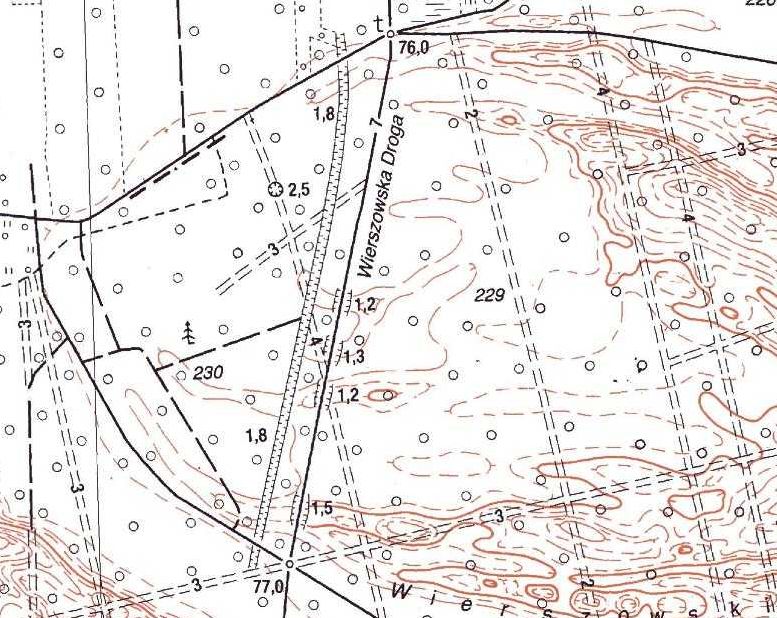
![]() |
| Rów na mapie topograficznej (tuż na zachód od Wierszowskiej Drogi) |
Zagaiłem też temat na profilu Puszczy Kampinoskiej na Facebooku. Odzew był spory, padło wiele przypuszczeń, ale nikt nie miał żadnych konkretnych informacji. Przejrzałem też przewodnik Lechosława Herza, ale tam też nic konkretnego nie znalazłem.
Pomyślałem więc, że warto napisać do Kampinoskiego Parku Narodowego. Niestety, otrzymałem odpowiedź, że „nie są znane parkowi informacje dotyczące szczegółów jego powstania czy planowanego przebiegu docelowego”.
Cóż… pozostaje tylko gdybanie na podstawie zebranych szczątkowych informacji. Czym miał być ów rów?
1) Droga? Faktycznie, niektóre drogi w Puszczy Kampinoskiej biegną przez tereny wydmowe w wykopie. Tyle że – jak widać na danych ze skaningu laserowego – nigdzie rowy tego typu nie mają tak wyrównanego poziomu. Inną sprawą jest to, że jedna z czytelniczek udostępniła mi zdjęcie owego rowu i jest on za wąski, by być drogą. No a poza tym, po co budować drogę obok istniejącej już drogi?
2) Linia kolejowa? Taki wyrównany poziom wykopu jest charakterystyczny dla linii kolejowych, a przecież (jak już pisałem wielokrotnie na tym blogu) w Puszczy Kampinoskiej ich nie brakowało. Są jednak dwa „ale”. Po pierwsze, akurat w tym regionie Puszczy żadnych linii kolejowych nie było. Nic też nie wiem, żeby były planowane. Po drugie, wydaje mi się, że ten rów jest za wąski na linię kolejową, nawet wąskotorówkę.
3) Okopy? W całej Puszczy Kampinoskiej toczyło się sporo walk podczas II wojny światowej. Może więc polscy żołnierze lub partyzantka wybudowali tu okopy? Może zrobiło już to wojsko po wojnie w obawie przed atakiem z zachodu? To jednak wątpliwe, bo okopy raczej nie mają prostego przebiegu. Na Facebooku padła też teoria o rowie przeciwczołgowym. Ale kto na miłość boską miałby się pchać czołgiem na Warszawę przez gęsty las?
4) Kanał? To moim zdaniem to najbardziej prawdopodobna teoria. Przemawia za nią prosty przebieg rowu, niewielka szerokość oraz wyrównany poziom. Przypuszczenia tego nie wyklucza KPN. W odpowiedzi czytam, że „Na terenach obecnie objętym parkiem narodowym w XIX i XX wieku wykonano łącznie kilkaset kilometrów rowów i kanałów melioracyjnych o funkcji drenującej, należy więc domniemywać, że funkcja rowu, o który Pan pyta, jest lub w zamierzeniu miała być analogiczna”.
![]() |
|
|
I tu jednak nie brak „ale”. No bo skąd i dokąd miałby ten rów prowadzić? Biorąc pod uwagę rzeźbę terenu, to z południa na północ. Na północy jest już sieć kanałów, więc ów tajemniczy rów mógłby się z nimi łączyć – to ma sens. Tylko jaka jest jego rola na południu? W takiej formie, w jakiej jest widoczny na danych ze skaningu, nie ma żadnego sensu, bo kończy się pośród wydm. Być może miał przecinać cały pas wydmowy i dochodzić do południowego pasa bagiennego? Ale to kawał drogi i byłoby to spore przedsięwzięcie budowlane. Poza tym jeszcze przed wojną istniało już połączenie południowego i północnego pasa bagiennego przez przekop w Roztoce. Po co komu byłby drugi taki przekop?
Pytań pozostaje sporo, więc wcale nie jestem pewien, że zagadka jest rozwiązana. Ale jeśli ktoś z Was ma jakąś wiedzę, w tym zakresie, to zachęcam do kontaktu!
Swoją drogą, to miło, że Puszcza Kampinoska ma wciąż nierozwiązane tajemnice…
EDIT: Podbijam komentarz do tej wiadomości, bo to na razie jedyny konkretny trop w tej sprawie. Co nie zmienia faktu, że nadal nie wydaje mi się sensowne budowanie w tym miejscu okopów przeciwczołgowych.
Mój tata, emerytowany pracownik KPN, potwierdza, że rów, o którym mowa w artykule, to niemiecki rów przeciwczołgowy, wykopany przez Polaków zagonionych do pracy na jesieni roku 1944, mający powstrzymać lub raczej spowolnić Sowietów. W okolicy puszczy znajduje się więcej rowów tego typu.
EDIT 2: Nie ma to jak dociekliwy czytelnik. Dziękuję użytkownikowi meteor2017 za link do strony Muzeum Powstania Warszawskiego. W Archiwum Historii Mówionej opublikowano tu wypowiedź kaprala Longina Kołosowskiego, z której wynika, że zagadkowy rów to faktycznie rów przeciwczołgowy:
Bitwa w Truskawce była 3 sierpnia, a 2 sierpnia zdobywaliśmy lotnisko według rozkazu kierownictwa Powstania, bo mieli lądować spadochroniarze z zachodu na tym lotnisku. 3 sierpnia Niemcy z Modlina i miejscowe oddziały żandarmerii sklecili ponad trzystuosobową jednostkę, aby dobić „bandytów”, (jak nas nazywali Niemcy), w Puszczy Kampinoskiej. Niemcy po bitwie obronnej na lotnisku postanowili nas zlikwidować w puszczy, gdyż mieli swój wywiad, bo dużo szpiegów było i znali nasze miejsca postoju w puszczy. Zaatakowała nas grupa niemiecka – około trzystu żołnierzy. Dzięki szybkiej kawalerii otoczyliśmy ich, tylko nie wiedzieliśmy, że tam był wykopany kanał niemiecki przeciwczołgowy, duży rów. Wielu Niemcom udało się uciec tym rowem, bo tak by żaden nie wyszedł. Nazwaliśmy tę bitwę pod Truskawką „Psim Polem”.



Ad.3 – okopy to na pewno nie są, ponieważ zarówno na lidarze jak i w terenie mają zupełnie inny wygląd. Moim zdaniem jest to rów przeciwczołgowy, zwłaszcza że we wspomnieniach partyzanckich (które przytaczaliśmy na facebooku) jest wspomniany w tym rejonie "kanał niemiecki przeciwczołgowy, duży rów" o którym partyzanci nie wiedzieli.
To że rów jest w gęstym lesie, to dlatego że takie rowy zachowały się najczęściej na terenach leśnych, na terenach rolniczych i zabudowanych zostały w większości zniwelowane. Mógł to być więc południowy fragment rowu, uniemożliwiający objechanie lasem umocnień w terenie otwartym.
Dodam, że między Krogulcem i Wierszami też jest coś podobnego… być może to właśnie kolejny zachowany fragment rowu (zapewne było też na południe od Krogulca, ale zostało zniwelowane). Można próbować szukać dalej na północ, ale im dalej tym większy obszar do przeszukania na boki, ale to już bardzo trudna sprawa, bo teren zagospodarowany, a do tego sporo rowów melioracyjnych (niektóre mogą być nawet zaadaptowanym dawnym rowem przeciwczołgowym)
Dodajmy, że być może to nie jest jakiś odosobniony fragment, tylko część prawie stukilometrowej linii. Na południowy-wschód od Grodziska Mazowieckiego zaczyna się rów, który z większymi lub mniejszymi przerwami ciągnął się aż do Pilicy. Na północ od Grodziska teren jest zbyt mocno przekształcony i brak terenów leśnych gdzie mógłby się zachować taki rów.
Natomiast dokładnie między rowem przy Wierszowkiej Drodza, a rowem podgrodziskim znalazłem krótki fragment, który być może jest kolejną jego częścią… za cegielnią pod Zaborówkiem. Ale fragment zbyt krótki, by coś więcej na pewno o nim powiedzieć. Warto go jednak wziąć pod uwagę, bo obiekt podobny i być może ma tę samą genezę (wg. przeciwczołgową :-)).
A jeszcze na koniec, żeby nieco skomplikować sprawę, dodam że pod Roztoką też jest jakiś przekop przez wydmę.
Z tym że ten w Roztoce jest na mapach przedwojennych (przy czym nie ma myśli przebiegu kanału).
Tak jak mówi Kolega Meteor2017, być może jest to element jakiejś większej konstrukcji/zapory.
Analogiczny rów znajduje się na północ Gostynina. Można go znaleźć w geoportalu (miejscowość Lipianki) gdzie ciągnie się z licznymi rozgałęzieniami i załamaniami na osi wschód-zachód przez długie kilometry.
Dokładnie tak! Za cegielnią pod Zaborówkiem jest pięknie zachowany fragment rowu przeciwczołgowego, też leżący jak najbardziej w lesie. Rowy przeciwczołgowe, w odróżnieniu od okopów (okopy "zygzakują", aby utrudnić ataki lotnicze polegające na "koszeniu" ukrywających się w jednej linii żołnierzy z broni pokładowej samolotu) były wykopywane najczęściej w linii prostej, więc wszystko by się zgadzało.
Row przeciwczolgowy to sensownie brzmiaca hipoteza. Ma jednak jedna slaba strone – mianowicie jak wynika z opisu i zdjec row ma bezwglednie rowna glebokosc. Zapora przeciwczolgowa nie musi miec rownej glebokosci – wystarczy aby w ujeciu wzglednym byl to odpowiednio gleboki wykop.
Moze mial zostac zaadoptowany na kanal w pozniejszym okresie?
Nie pomagam w wyjasnieniu zagadki 😉
Niemniej ciekawa sprawa 😉
Mój tata, emerytowany pracownik KPN, potwierdza, że rów, o którym mowa w artykule, to niemiecki rów przeciwczołgowy, wykopany przez Polaków zagonionych do pracy na jesieni roku 1944, mający powstrzymać lub raczej spowolnić Sowietów. W okolicy puszczy znajduje się więcej rowów tego typu.
Dziękuję za komentarz. To na razie jedyny konkretny trop w tej sprawie 🙂
To ja jeszcze wkleję wspomniane wspomnienia partyzanckie. Jest spora szansa, że mowa właśnie o tym leśnym rowie lub jego przedłużeniu na północ.
https://www.1944.pl/archiwum-historii-mowionej/longin-kolosowski,745.html
"3 sierpnia Niemcy z Modlina i miejscowe oddziały żandarmerii sklecili ponad trzystuosobową jednostkę, aby dobić „bandytów”, (jak nas nazywali Niemcy), w Puszczy Kampinoskiej. Niemcy po bitwie obronnej na lotnisku postanowili nas zlikwidować w puszczy, gdyż mieli swój wywiad, bo dużo szpiegów było i znali nasze miejsca postoju w puszczy. Zaatakowała nas grupa niemiecka – około trzystu żołnierzy. Dzięki szybkiej kawalerii otoczyliśmy ich, tylko nie wiedzieliśmy, że tam był wykopany kanał niemiecki przeciwczołgowy, duży rów. Wielu Niemcom udało się uciec tym rowem, bo tak by żaden nie wyszedł. Nazwaliśmy tę bitwę pod Truskawką „Psim Polem”. "
Bardzo dziękuję za ten link. Podbijam
Rów ciągnął się prawdopodobnie dalej – jego (domniemane) przedłuzenie jest za kościołem oraz "białym domem" w Wierszach (jest widoczny na lidarze) i dziś jest rowem melioracyjnym zawalonym częściowo śmieciami (dziś byłem i sprawdziłem). Niestety dwa rowy rozdziela pas lasu zasadzonego "pod linijkę" więc cięzko stwierdzić czy ta teoria jest słuszna.